1 Introduction
Throughout the life cycle of an Award, various products may be created. These products may include: inventions, patents, books, articles, conference papers, etc. Products can be routinely added or updated in the Progress Report Task or when submitting your Renewal Proposal Products (RPP). Products can also be added or edited from the Products – List page located in the Awards Folder.
The purpose of this document is to provide step-by-step instructions for users to follow to add or edit Products from the Products List page.
2 Prerequisites
Before you can add or edit a Product outside of a report, the following criteria must be met:
- The user is registered in PAMS
- The user has peer access to an active award
You cannot add/update Products in bulk from a task. If you would like to add or update Products in bulk, navigate to the Awards folder, perform any necessary bulk updates, and return to the task. |
3 Viewing an Award’s Products
Use the following steps to view products outside of a report.
1. Log in to the PAMS external website at: https://pamspublic.science.energy.gov
2. Navigate to the Awards tab. (Figure 1)
Figure 1. Homepage, Awards
3. PAMS will load the My Awards – List page, which displays all the Awards you have access to in PAMS. Browse the list or use the filters or advanced search above the grid to find the Award for which you would like to view the Products. Once you have found an Award, click the Actions/Views context menu in the Options column and select Award Folder. (Figure 2)
Figure 2. Awards, Award Folder
3.1 Award Folder - Non-Labs
1. PAMS will navigate to the Award Folder for that Award, which displays all the information about the Award as well as a Useful Links section. Click View Products List under Post Award in the Useful Links section. (Figure 3)
Figure 3. Award Folder, View Products List
2. PAMS will navigate to the Products – List page, which displays all Products associated to the Award. To add or update products, click Add/Update Products in E-Link. (Figure 4).
Figure 4. Products – List
3. PAMS will navigate to E-link. Add/update Products in E-Link as necessary. For E-Link specific guidance, you may visit:
4. When you are finished, click the "Return to PAMS" button. E-Link will return you to the Products – List page, where PAMS will display a Note detailing the last Product data sync.
3.2 Award Folder – Labs
1. PAMS will navigate to the Award Folder for that Award, which displays all the information about the Award as well as a Useful Links section. Click View Products List under Post Award in the Useful Links section. (Figure 5)
Figure 5. Award Folder, View Products List
2. PAMS will navigate to the Products – List page, which displays all Products associated to the Award. To add products, click Add Products to Award from OSTI.gov. (Figure 6)
Figure 6. Products – List, Add Products to Award from OSTI.gov
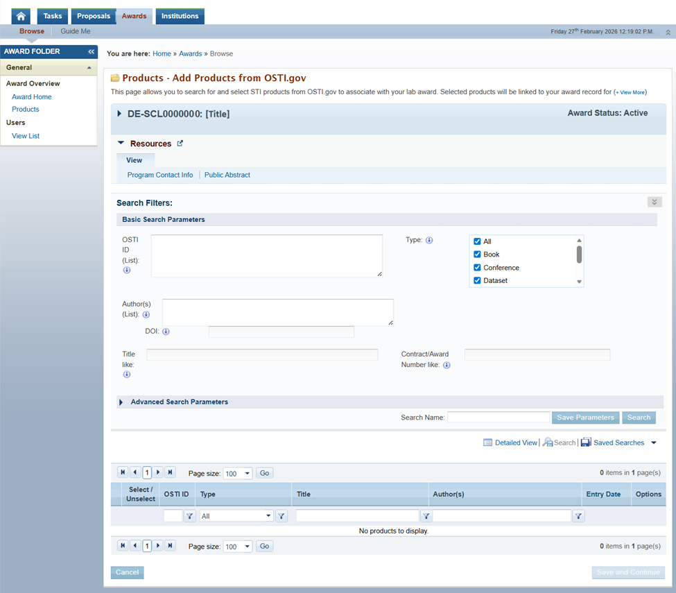
3. PAMS will navigate to the Products – Add Products from OSTI.gov page, which will allow you to search for and select STI products from OSTI.gov to associate with your lab award. Selected products will be linked to your award record for tracking and reporting purposes. To begin, enter at least one search parameter in the fields. Then, click Search above the grid. (Figure 7)
Figure 7. Products – Add Products from OSTI.gov
4. PAMS will reload the page and display the search results in the grid. To add a product to your award, select the checkbox associated to that given product. If you wish to remove a product from the award, remove the selection from the grid below. If you have already reported a product on a previous awardee report, you will not be able to remove the product from the award. When you are finished, click Save and Continue in the bottom right corner. (Figure 8)
Figure 8. Products – Add Products from OSTI.gov, search results
5. PAMS will return to the Products – List page and display a green success message confirming that the products list has been updated successfully. (Figure 9)
Figure 9. Products – List, Success








